← Back to Album
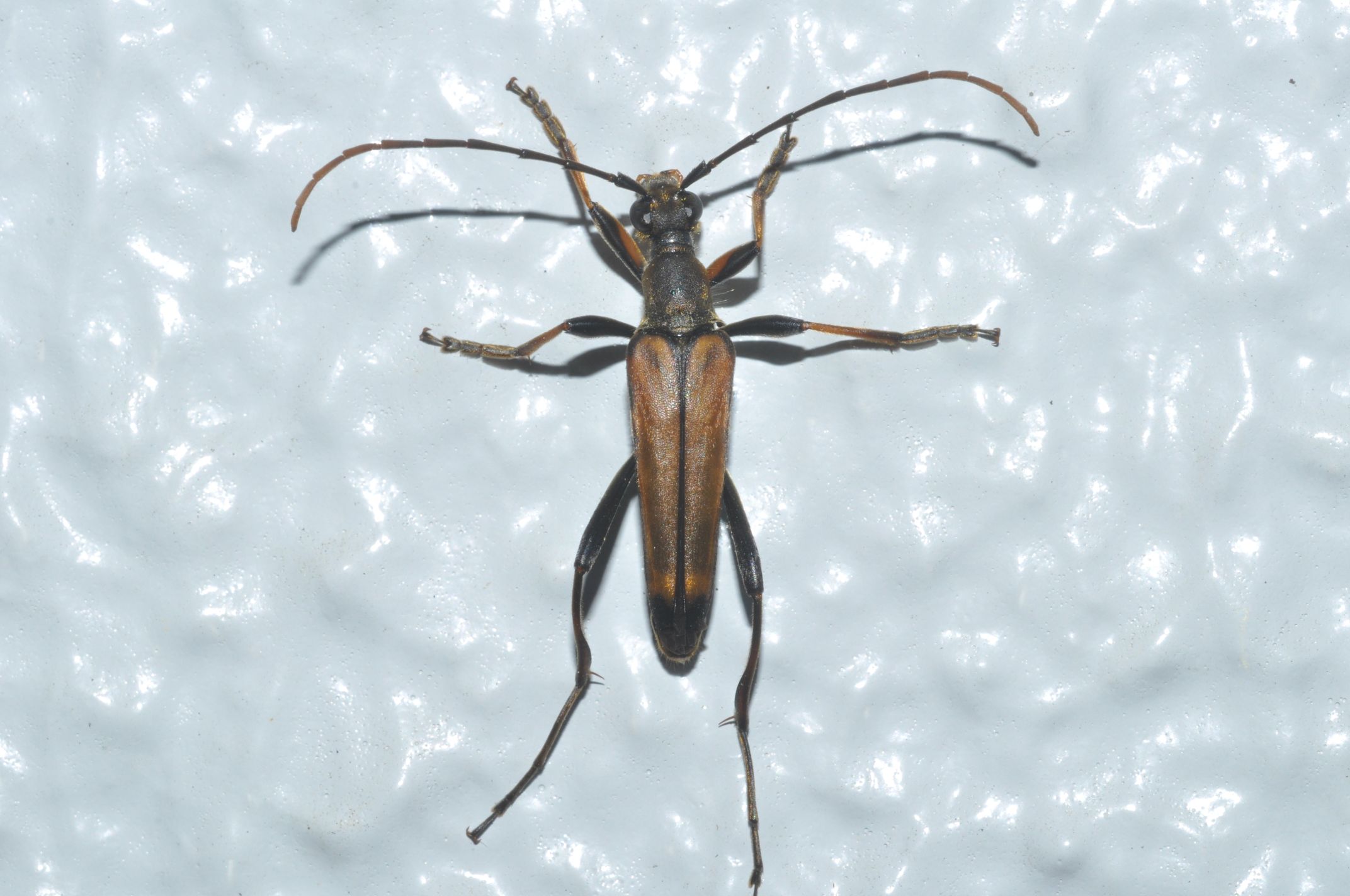
カミキリムシ科 ハナカミキリ亜科
<
ツマグロハナカミキリ
Leptura modicenotata
>
2016/05/07
自宅